物件No,121 大道端の売家

※画像印刷の方法
1F平面図 (外観) 1F平面図 2F平面図 (外観) (玄関) (玄関)玄関収納 1F廊下 1F洋室 LDK1
商談中 ☆築浅物件☆
価格
18,800,000円
  
間取
5LDK
     
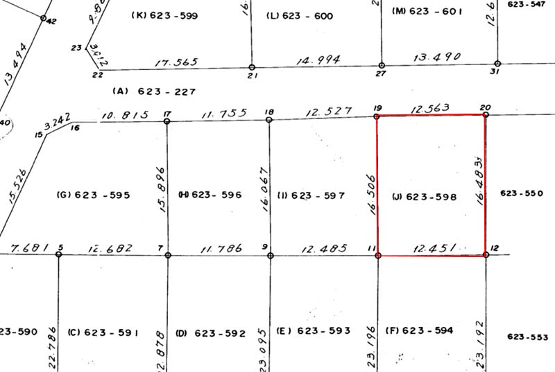
所在地 新潟県村上市坂町623-598
築年月 2017年4月 新築/中古 中古
建物構造 木造・和瓦葺き
建物面積 敷地面積 206.29㎡(62.40坪)
延べ床面積 183.82㎡(55.60坪) 建物階数 2階
間取内容 洋6・和6 洋8・6・6 LDK20
部屋階数 2階 部屋・建物向き
駐車場 2台(ガレージ)
地目 宅地  用途地域 第一種住居
都市計画 非線引き区域 地勢 平坦
土地面積 土地面積計測方式 公簿
建ぺい率 60% 容積率 200%
土地権利 所有権 接道状況 一方
接道方向1 接道間口1 12.56m
接道種別1 公道 接道幅員1 6.0m
引渡 相談
取引形態 仲介(要手数料)
設備・条件 ガスコンロ カウンターキッチン 給湯 追い焚き 独立洗面台 シャワー ユニットバス 浴室1坪以上 バス・トイレ別 温水洗浄便座 エアコン2台以上 室内洗濯機置き場 BSアンテナ プロパンガス 駐車場有 専用庭 シューズボックス 2Fトイレ・灯油給湯器・外部物置
備考 建物内部残置物処分後引き渡しします。

LDK2キッチン(和室)洗面室洗面台(浴室)(トイレ)インナーガレージ1インナーガレージ2階段2F洋室12F洋室22F洋室32Fトイレ裏庭(公図)実測図
※物件掲載内容と現況に相違がある場合は現況を優先と致します。
印刷する 画面を印刷する

お問合せ先

(株)シバ興産
〒959-3131 新潟県村上市藤沢32-6
TEL 0254-62-5658 FAX 0254-62-5659
年中無休
宅建免許番号: 新潟県知事(3)第4799号

メールでのお問合せ

    お名前 (必須)

    メールアドレス (必須)

    題名

    メッセージ本文

    メッセージを入力したら「確認」にチェックを入れて「送信」ボタンをクリックして下さい。

    確認

    This site is protected by reCAPTCHA and the Google
    Privacy Policy and
    Terms of Service apply.